Breiðholtsbraut lokuð um helgina og að næturlagi í 10-14 daga
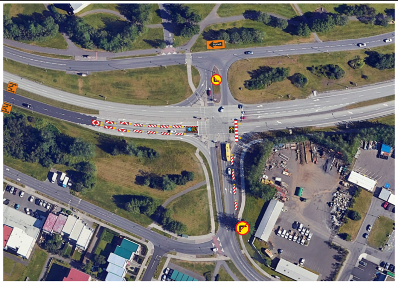
Breiðholtsbraut, milli Jaðarsels og Vatnsendahvarfs, verður lokuð fyrir umferð um helgina vegna steypuvinnu við nýja brú. Lokunin tekur gildi kl. 01:00 aðfaranótt laugardagsins 8. nóvember og fram til kl. 5:00 aðfararnótt mánudagsins 10. nóvember.
Í framhaldinu verður þessi sami kafli lokaður milli kl. 22:00-06:30 frá og með mánudeginum 10. nóvember í allt að 10-14 daga af öryggisástæðum. Mikil slysahætta getur skapast ef ekið er á nýsteypta brú, bæði fyrir vegfarendur og starfsfólk á svæðinu.
Á meðan opið er fyrir umferð verður hæðartakmörkun 4 metrar. Mjög mikilvægt er að verktakar, flutningsaðilar, sem og aðrir virði hæðartakmarkanir. Opið verður fyrir neyðarakstur.
Hámarkshraði um framkvæmdasvæðið hefur verið lækkaður í 30 km/klst. á meðan unnið er við brúna.
Þegar umferð verður hleypt undir brúna á ný verða hæðartakmarkanir fyrst um sinn 4 metrar á meðan steypan er að ná styrk. Eftir það verður hámarksfarmhæð 4,2 metrar samkvæmt reglugerð.
Vegagerðin biðst velvirðingar á þeim óþægindum sem steypuvinnan hefur í för með sér. Vegfarendur eru beðnir um að sýna tillitssemi og þolinmæði meðan á framkvæmdum stendur.
Brúin er hluti af nýjum Arnarnesvegi, milli Rjúpnavegar og Breiðholtsbrautar.

Lokað verður frá 01:00 aðfaranótt laugardagsins 8. nóvember til kl. 05:00 aðfaranótt mánudagsins 10. nóvember. Opið verður fyrir neyðarakstur.

Brúin er hluti af nýjum Arnarnesvegi.

Lokunarplan 2.

Lokunarplan.

Loka verður Breiðholtsbraut um helgina vegna steypuvinnu.

Lokunarplan 3.