Breiðholtsbraut lokuð um helgina vegna steypuvinnu
Vegagerðin mun steypa nýja brú yfir Breiðholtsbraut um helgina. Breiðholtsbraut, milli Jaðarsels og Vatnsendahvarfs, verður lokuð fyrir allri umferð á meðan steypuvinnan fer fram til að tryggja öryggi vegfarenda og starfsmanna. Lokað verður frá 01:00 aðfaranótt laugardagsins 8. nóvember til kl. 05:00 aðfaranótt mánudagsins 10. nóvember. Opið verður fyrir neyðarakstur.

Um helgina verður Breiðholtsbraut milli Jaðarsels og Vatnsendahvarfs lokuð vegna steypuvinnu.
Að steypuvinnu lokinni þarf mögulega að takmarka umferð um Breiðholtsbraut. Nánari tímasetningar verða tilkynntar síðar, en umferð verður stjórnað af starfsmönnum verktaka.
Hámarkshraði um framkvæmdasvæðið hefur verið lækkaður í 30 km/klst. á meðan unnið er við brúna.
Þegar umferð verður hleypt undir brúna á ný verða hæðartakmarkanir fyrst um sinn 4 metrar á meðan steypan er að ná styrk. Eftir það verður hámarksfarmhæð 4,2 metrar samkvæmt reglugerð.
Afar mikilvægt er að verktakar og flutningsaðilar virði hæðartakmarkanir.
Vegagerðin biðst velvirðingar á þeim óþægindum sem steypuvinnan hefur í för með sér. Vegfarendur eru beðnir um að sýna tillitssemi og þolinmæði meðan á framkvæmdum stendur.
Brúin er hluti af nýjum Arnarnesvegi, milli Rjúpnavegar og Breiðholtsbrautar.

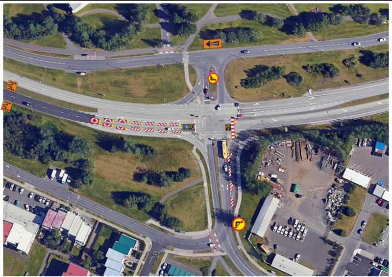
Lokunarplan.

Lokað verður frá 01:00 aðfaranótt laugardagsins 8. nóvember til kl. 05:00 aðfaranótt mánudagsins 10. nóvember. Opið verður fyrir neyðarakstur.

Lokunarplan 3.

Lokunarplan 2.